石河子市BG大游集团现代农业装备研发和智能制造生产基地建设项目
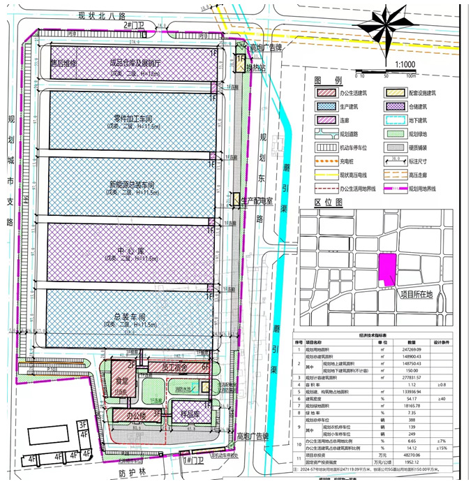
项目选址:位于石河子总场,乌伊公路北,规划东一路西,北八路南,规划东小路东,占地面积:247269.09㎡,总投资规模及内容:84000万,拟占地面积370.68亩,总建筑面积149852.27平方米,其中包含办公楼、员工宿舍、食堂、样品库、零件加工车间、新能源总装车间、中心库、总装车间、成品仓库、一#门卫(消防控制室)、2#门卫、连廊、檐廊、非机动车停车棚、换热站、生产配电室、生活配电室、消防泵房及消防水池。
公众号
抖音号
快手号
视频号
版权所有 新疆BG大游集团智能农机股份有限公司 All Rights Reserved 地址:新疆乌鲁木齐市高新区(新市区)长春北路2800号 邮编:830000
备案号: 新公网安备202506000***3号
13999701722